台积电提交了三个档案,包含一份公开表格以及两个包含商业机密的非公开档案。
全球的芯片荒一直未有缓解迹象,从汽车到电脑 GPU,加价抢购的情形已经持续了近一年。
为了将芯片荒的损失降到最低,美国一直在协调和敦促全球半导体大厂增产,甚至在今年 9 月末以提高芯片「供应链透明度」为由,要求台积电、三星等晶圆代工厂交出被视为商业机密的库存量、订单、销售纪录等数据。针对这项要求,有业界人士曾表示,向外界披露芯片良率信息,意味着公开自己的半导体技术水准,这类信息可能会导致代工厂在议价过程中处于不利位置。
但与此前协调和敦促增产的态度不同,此次美国态度强硬,总共给出了 45 天的缓冲时间。「(信息请求)是自愿的,但这些信息对于解决对供应链透明度的担忧至关重要。我们是否将使用强制措施取决于有多少公司参与以及共享数据的质量,」美国商务部发言人曾表示。
进入 11 月份,deadline 也差不多快到了,各大厂商的回应也陆续浮出水面。
截至 11 月 7 日,台积电、联电、日月光、环球晶、威腾电子、美光以及美国铜箔基板材料大厂 Isola、新光电机等 23 家大厂与机构已经完成了答复。

![]()
各大半导体厂商在倒计时结束前提交的文件。地址:https://www.regulations.gov/document/BIS-2021-0036-0001/comment
其中,台积电在美国时间 11 月 5 日提交了三个档案,包含一份公开表格以及两个包含商业机密的非公开档案。

![]()

![]()
![]()
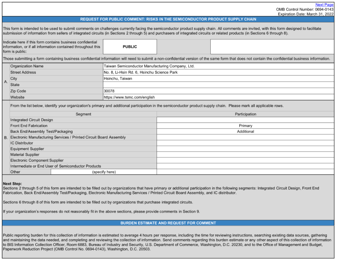
台积电提交的一份公开文件的目录。文件地址:https://www.regulations.gov/comment/BIS-2021-0036-0023
据悉,这次美国商务部的调查共分为 11 个问题和 1 条评论(问卷具体内容请戳:《美商务部要求台积电、三星 45 天内提交芯片库存订单信息 》。台积电上传的内容是一份公开、两份保密的。公开数据中只列出了一般可识别的信息,例如制造的产品类型和比例,并未列出客户公司和交货时间等关键信息。第 4b 至 8 部分留空。
台积电在公开文件的第 9 节(General Comments)中解释说,「回复方法必须作为机密文件单独提交」。有鉴于此,两份机密文件极有可能包含与重要信息有关的内容。尚不清楚这些信息将在多大程度上可用。
![]()
最初,台积电对美国政府披露关键供应链信息的要求感到担忧:「我们绝对不会泄露我们公司的敏感信息,特别是与我们客户有关的信息。」
虽然最终,台积电还是同意了在截止日期前提供一些信息,但该公司发言人 11 月 7 日表示,台积电已经回应了美国商务部关于提交供应链信息的要求,以协助解决全球芯片短缺问题,同时确保没有客户特定数据在此次提交中被披露。
「台积电一直在积极支持并与所有利益相关者合作,以克服全球半导体供应链挑战,」台积电方面向路透社表示。
「展望未来,在这个复杂的供应链中提高需求可见性应该是避免未来发生这种短缺的途径。我们一直是这项努力的强大合作伙伴,并将继续采取行动应对这一挑战,」声明中说。
此外,西部数据、美光、台湾联电等公司也提交了信息。
美光是第 14 家提交信息的公司,没有披露公开数据,只附上了一份机密文件。联电是第 23 家上传数据的,一份公开一份机密。在公开信息中,联电没有回复第 3 至 8 节。
美国政府早些时候表示,包括英特尔、英飞凌和 SK 海力士在内的芯片生产商已同意提供信息并帮助解决短缺问题。但截至目前,英特尔、英飞凌均未答复相关问卷。
至于备受关注的三星、SK 海力士等韩国半导体,韩国财政部 7 日表示,韩国科技从业者正在准备「自愿」向美方提交部分半导体资料,且韩国半导体公司也持续与华盛顿政府磋商资料要提供至何种程度,但韩国财政部并未做出更多说明。目前,三星、SK 海力士均尚未完成问卷回传。
虽然据说该请求是自愿的,但如果芯片制造商不合作,美国似乎准备借助强硬手段:
美国商务部长雷蒙多曾在半导体高峰会上宣称,美国政府需要更多有关芯片供应链的信息,以「提高处理危机的透明度,并确定导致短缺的根本原因」。
当雷蒙多被问及若企业不愿配合美国政府缴交数据会如何处理时,雷蒙多声称,「我们的工具箱有很多方法能让从业者缴出数据,虽然不希望走到那一步,但如果有必要,我们必定会采取行动。」
「美国可能会使用《国防生产法(DPA)》或其他工具,迫使那些在截止日期之前未做出回应的公司出手。」
但很难看出 DPA 将如何应用,包括以有效的方式应用。这是一项专为战时使用而设计的法案,也就是说,政府在战时可以迫使美国企业将其制造工作集中在国防用途所需的任何东西上。
参考链接:https://money.udn.com/money/story/5612/5873729?from=edn_search_tag_result
https://www.regulations.gov/document/BIS-2021-0036-0001/comment内容中包含的图片若涉及版权问题,请及时与我们联系删除
评论
沙发等你来抢